Trang chủ/Quận Long Biên/Phường Long Biên/Bán 124m2 đất lô góc tặng nhà cấp 4 mặt tiền 23m đang cho thuê.
				Mua Bán Nhà Đất Bán 124m2 đất lô góc tặng nhà cấp 4 mặt tiền 23m đang cho thuê. mới nhất
Phường Long Biên, Quận Long Biên, Hà Nội
							Mức giá
							4,56 tỷ
							36.77 triệu/m²
						
																		
							Diện tích
							124 m²
						
																		
					
						Thông tin mô tả
						
					
							Bán 124m2 đất lô góc tặng nhà cấp 4 mặt tiền 23m đang cho thuê. Đường 13m khu Thạch Cầu. 4,56 tỷ
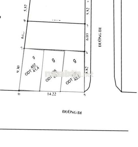
Bán 124m² đất, lô góc, tặng nhà cấp 4, điện, nước máy đầy đủ. Đang cho thuê 10 triệu/tháng; Một chiều rộng 14,2 mét (mặt đường chính, đường rộng 13 mét) và một chiều rộng 8,8 mét (mặt đường phụ, đường nhựa rộng 6 mét, hai bên có vỉa hè và đèn đường); Mặt đường Giếng Nhật, Thạch Cầu phía Giếng Nhật và khu dân cư,
Đất xen kẹt, chưa sổ, đã được kê khai ODT (đất ở đô thị), có số lô số thửa rõ ràng.
Đất cách cầu Trần Hưng Đạo 500m, cách chợ và trường mầm non Thạch cầu 100m, chỉ 8 phút là vào trung tâm phố cổ.
Rất đẹp.
Đất mua đầu tư sau xây biệt thự thì quá đẹp hoặc có thể chia nhỏ thành từ 2 đến 4 mảnh( đã tách thành 3 lô) . Cực dễ thanh khoản.
Mua cả, giá 38 triệu/m². Mua lẻ, lô góc 40 triệu /m², các lô còn lại 38 triệu/m². Đất đẹp vô cùng. Liên hệ ngay kẻo hết.
					Bán 124m² đất, lô góc, tặng nhà cấp 4, điện, nước máy đầy đủ. Đang cho thuê 10 triệu/tháng; Một chiều rộng 14,2 mét (mặt đường chính, đường rộng 13 mét) và một chiều rộng 8,8 mét (mặt đường phụ, đường nhựa rộng 6 mét, hai bên có vỉa hè và đèn đường); Mặt đường Giếng Nhật, Thạch Cầu phía Giếng Nhật và khu dân cư,
Đất xen kẹt, chưa sổ, đã được kê khai ODT (đất ở đô thị), có số lô số thửa rõ ràng.
Đất cách cầu Trần Hưng Đạo 500m, cách chợ và trường mầm non Thạch cầu 100m, chỉ 8 phút là vào trung tâm phố cổ.
Rất đẹp.
Đất mua đầu tư sau xây biệt thự thì quá đẹp hoặc có thể chia nhỏ thành từ 2 đến 4 mảnh( đã tách thành 3 lô) . Cực dễ thanh khoản.
Mua cả, giá 38 triệu/m². Mua lẻ, lô góc 40 triệu /m², các lô còn lại 38 triệu/m². Đất đẹp vô cùng. Liên hệ ngay kẻo hết.
						Đặc điểm bất động sản
						
							
								
																			
							
							
					
					
											
											Mức giá
											4,56 tỷ
										
									
																			
											
											Diện tích
											124 m²
										
									
									
									
									
																			
											
											Pháp lý
											Sổ hồng
										
									
								Môi giới chuyên nghiệp
									
							Ngày đăng21/10/2025
						Ngày hết hạn21/11/2025
						Mã tin3211182
					Các BĐS Hot bạn nên xem
							 / 
						
					Môi giới chuyên nghiệp
						
					 
                             
         
								 
								 
								 
								 
														 
											 
											 
											 
											 
											 
											 
											 
											 
											 
		